Gjøvik kommune skal skifte ut vann- og avløpsledninger i Vestre Totenveg

Kommunen har planlagt en investering på mellom 55 og 60 millioner kroner i perioden 2024-2026 i området Kirkeby Nord. Pengene går blant annet til nye vann- og avløpsrør.

Gjøvik kommune har behov for å skifte ut det kommunale vann- og avløpsnettet i og langs Vestre Totenveg i området mellom Jonas Lies gate/Vestre Totenveg i nord og rundkjøring V. Totenveg/Alfarvegen i sør. Dette arbeidet utføres som en del av vedtatt «Hovedplan for vann og avløp» i Gjøvik kommune. 

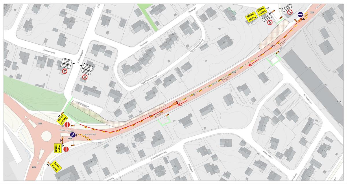
Arbeidsområdet for skifting av vann- og avløpsrør i Vestre Totenveg

Det er planlagt at arbeidet skal starte 5. januar og vi regner med å være ferdig i løpet av april. Vi skilter omkjøring da vi må stenge strekninger i denne tida. 

Veger som blir berørt ved gravearbeidene

Vestre Totenveg (FV 2370) fra kryss Jonas Lies gate og Kallerudvegen / V. Toten veg og sørover opp til nord for rundkjøring Vestre Totenveg/Alfarvegen.

  • Kryssområdet Jonas Lies gate / Kallerudvegen .
  • Det vil bli noe anleggstrafikk inne på Tongjordet i graveperioden, og da særskilt i F. Hennigs gate samt Kallerudvegen.

Hvordan påvirker arbeidet deg?

Vestre Totenveg/Fylkesveg 2370 er kun åpen for trafikk i sørgående retning dvs. retningen mot Oslo /Fagernes i perioden januar 2026 til april/mai 2026.

Kjøring ut av Tongjordet boligområde kan skje via Johan Castbergs gate mot Teknologivegen eller alternativt Lunds gate mot Nybrua/Storgata.Alternativt kan Hammerstads gate og Fauchaldsgate benyttes mot øst.

Vegene i disse graveområdene blir nyasfaltert når arbeidene er gjennomført.

Strekningen i Vestre Totenveg samt graving og utskifting av vann- og avløpsledninger ut av Kirkeby-området, vil blant annet være med på å fornye og sikre vannforsyningen til deler av søndre bydel i Gjøvik kommune. Totalt innebærer dette at kommunen har planlagt en investering på mellom 55 og 60 millioner kroner i perioden 2024-2026 i området Kirkeby Nord. 

Har du spørsmål?

Anleggsarbeidene vil bli utført av Gjøvik kommune med følgende kontaktpersoner:

Prosjektleder: Rolf Perjord, mobil: 97 12 86 51

Anleggsleder: Erik Hagenes